Tento web používá soubory cookies,
a to jen ty nezbytné pro správné fungování.
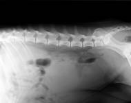
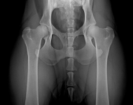
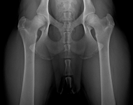
(1) 7 týdnů VD
(1) typ 3
(2) 7 týdnů lat
(2) typ 3 I
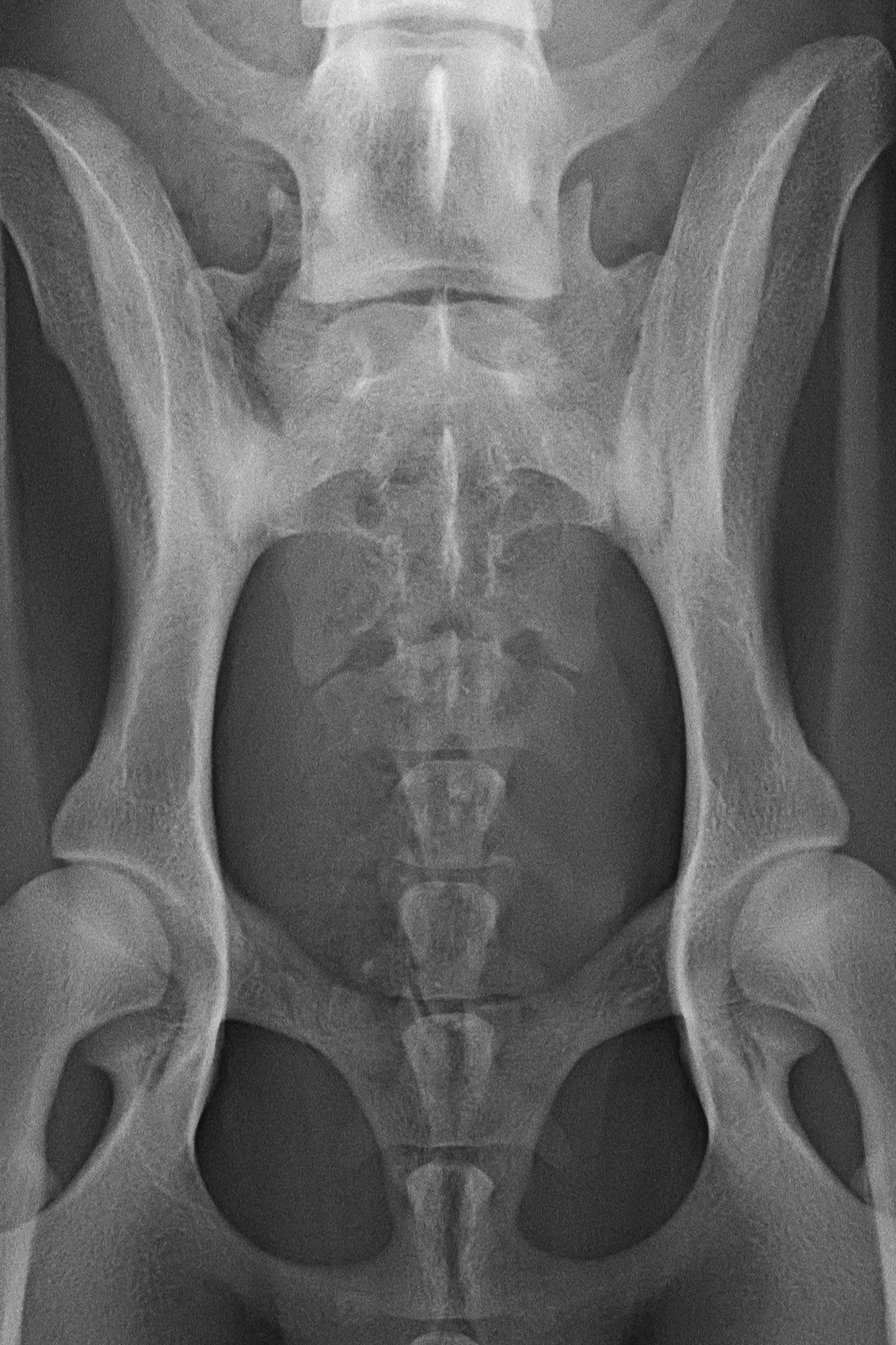
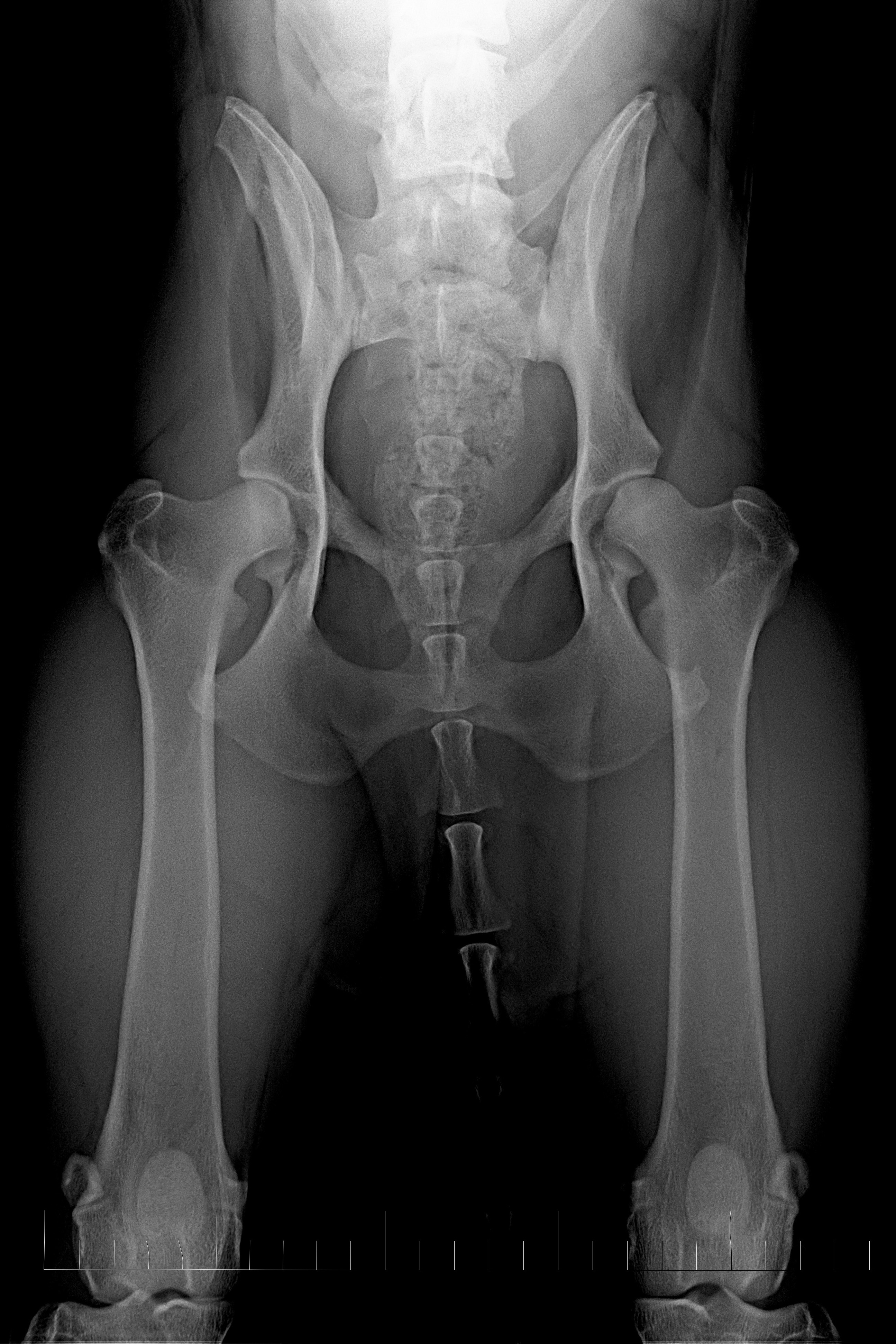
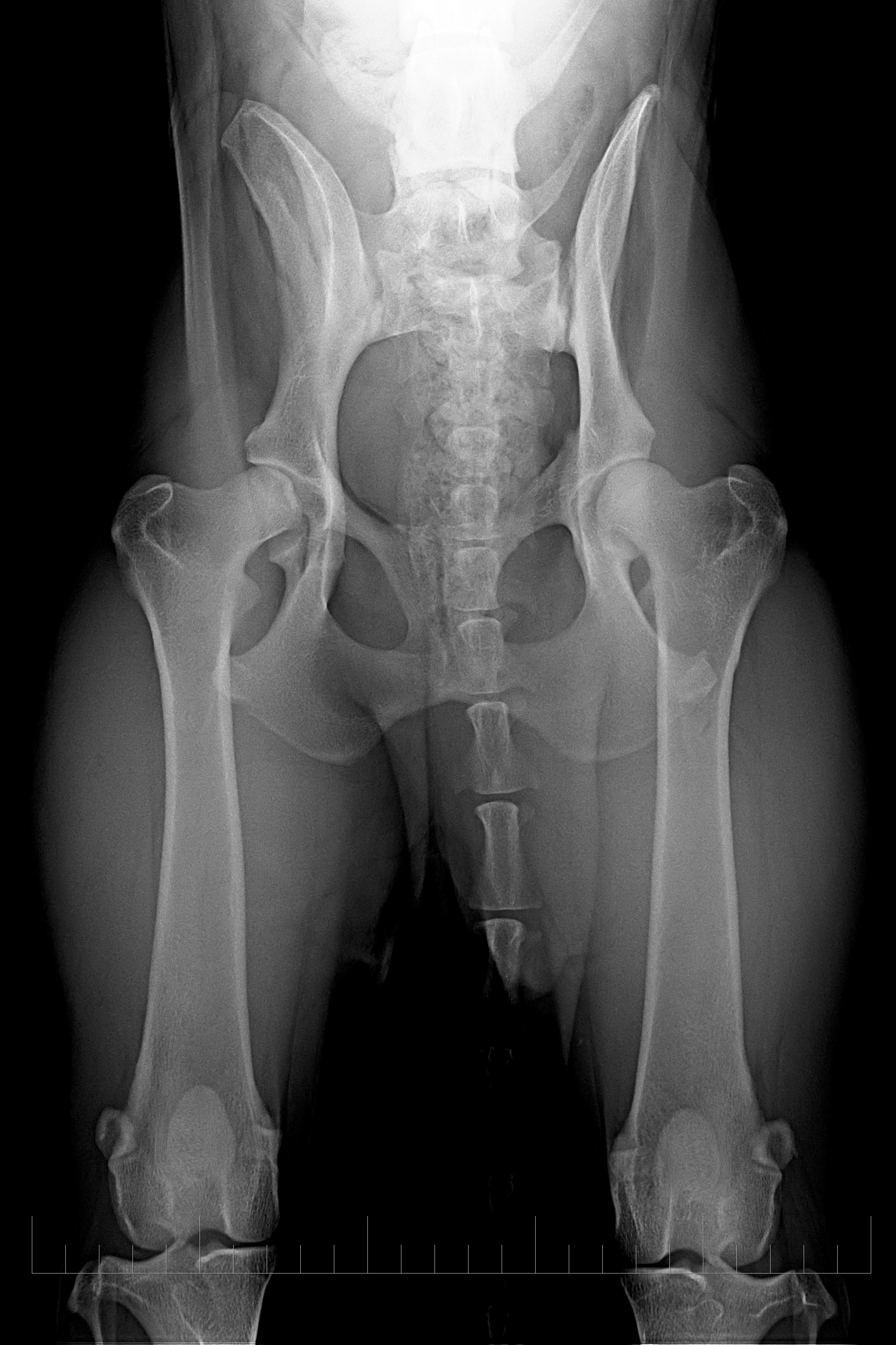
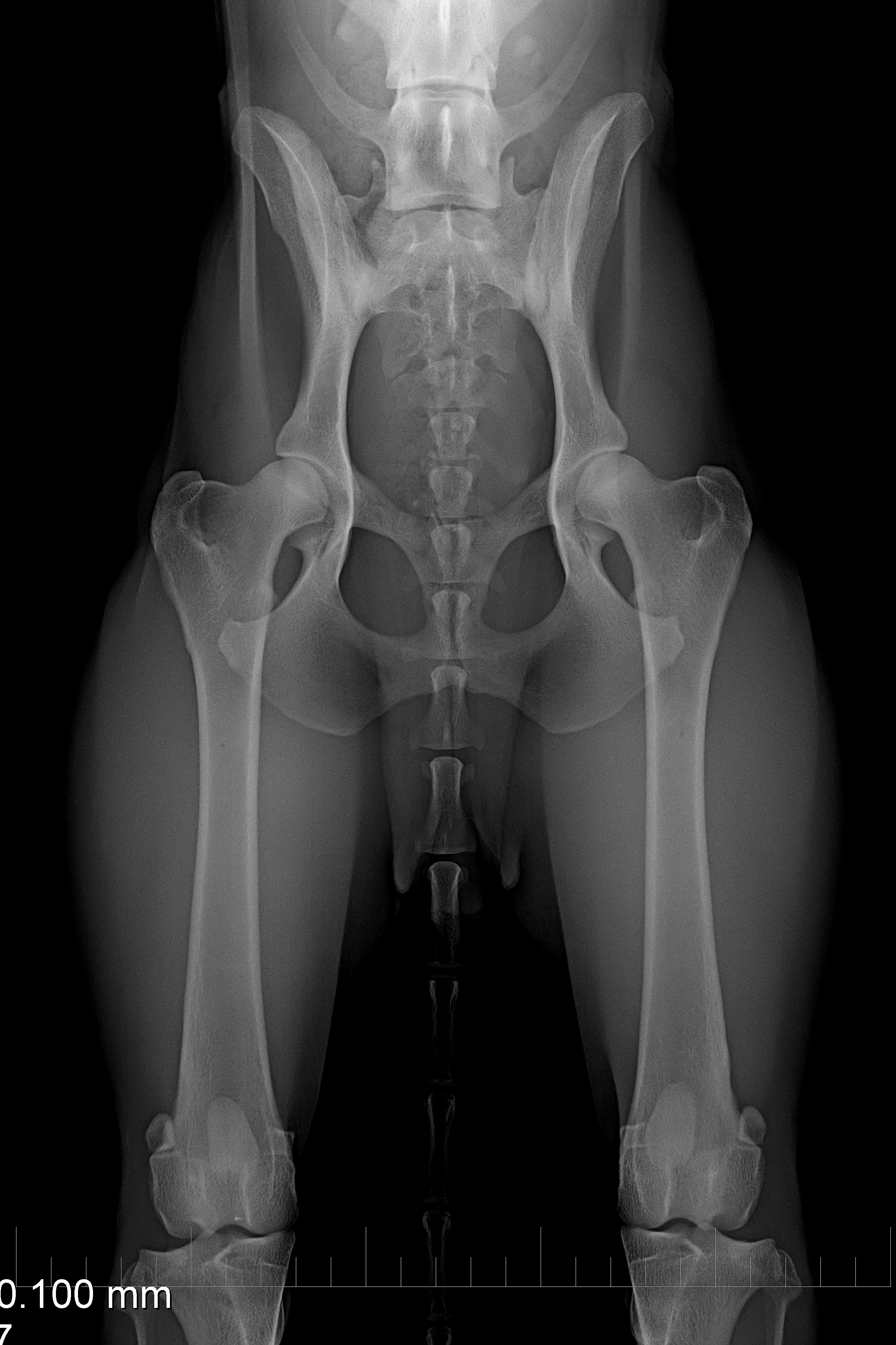
(3) 7 měsíců VD 1
(3) typ 3 po korekci polohy pánve
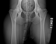
(4) 7 měsíců VD 2
(4) typ 3 po korekci polohy pánve 2
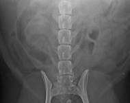
(5) 7 měsíců lat
(5) typ 3 páteř VD
páteř psa a možné lokalizace přechodového obratle
Křížová kost
Křížová kost se sousedními obratli
Srovnání zdravé křížové kosti a nejnižšího typu vady
Klub chovatelů teriérů
Americký stafordširský teriér (VD)
BOM LÜW 2 a
BOM LÜW 2 b
BOM LÜW 2 c
Border teriér
DKK 2a
Jack russel teriér
páteř LL
páteř VD
typ 1 I
typ 1 II
typ 3 u sedmiletého křížence